Huracán Otis: ¿en qué categoría se encuentra y hacia dónde se dirige?
Te compartimos en qué categoría se encuentra el Huracán Otis, que se encuentra atravesando el estado de Guerrero, donde ya provocó algunos destrozos.


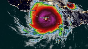
El paso del Huracán Otis generó varios destrozos en el estado de Guerrero, pues alcanzó categoría 5. Cabe señalar que este miércoles 25 de octubre ya se ha debilitado a tormenta tropical. Aquí te compartimos los detalles sobre su trayectoria y cuál es el pronóstico del clima para este día.
Sigue en vivo la trayectoria del Huracán Otis
De acuerdo con información publicada por el Servicio Meteorológico Nacional, a medio día se informó que Otis se ha degradado, y aunque sigue su paso, no se espera que provoque más destrozos.
Actualmente, Otis se ubica en tierra sobre Guerrero, a 25 km al norte de Ciudad Altamirano, Guerrero, y a 205 km al nor-noroeste de Acapulco.
Te puede interesar: Se registra sismo en Guerrero, tras paso del Huracán Otis
⚠️ Este mediodía, #Otis se debilitó ha #TormentaTropical sobre #Guerrero.
— CONAGUA Clima (@conagua_clima) October 25, 2023
Todos los detalles ⬇️https://t.co/VVYNAkgh8w pic.twitter.com/kO134DQDbP
Pronósticos de lluvia para este miércoles 25 de octubre
Su amplia circulación ocasiona lluvias intensas con puntuales torrenciales en Guerrero; lluvias muy fuertes con puntuales intensas en Michoacán (este) y Puebla; lluvias fuertes con puntuales muy fuertes en el Estado de México (suroeste), Morelos y Oaxaca (oeste); y lluvias fuertes en la Ciudad de México, además de reforzar las lluvias fuertes a puntuales intensas en estados de la Mesa Central. Dichas lluvias podrían originar visibilidad reducida, deslaves, encharcamientos o inundaciones, así como incremento en los niveles de ríos y arroyos.
Se prevén rachas de viento de 80 a 100 km/h y oleaje de uno a tres metros de altura en zonas costeras de Guerrero, disminuyendo gradualmente.
Recomendaciones para la población
Noticias relacionadas
Extremar precauciones a la población en general en las zonas de los estados mencionados por lluvias, viento y oleaje (incluyendo la navegación marítima), y atender las recomendaciones emitidas por las autoridades del Sistema Nacional de Protección Civil, en cada entidad.
Otis destruyó Acapulco, así quedó la costera Miguel Alemán y sus hoteles

Sigue el canal de Diario AS en WhatsApp, donde encontrarás todas las claves deportivas del día.

