Tormenta Tropical Orlene: Activan alerta en 7 estados de México
La tormenta tropical Orlene impactará en tierras mexicanas para los próximos días, ante ello Protección Civil activó una alerta en siete estados.


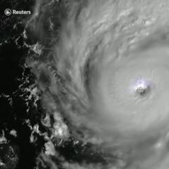
La tormenta tropical Orlene se localiza a 390 kilómetros al sur-sureste de Playa Pérula, Jalisco y a 445 kilómetros al sur-sureste de Cabo Corrientes, acompañado por vientos máximos sostenidos de 100 km/h, así como rachas de 120 km/h y mantiene un desplazamiento al not-noreste del país, así lo confirmó el Servicio Meteorológico Nacional (SMN).
La circulación de la tormenta tropical Orlene incrementará en su pasó por Mexico la probabilidad de lluvias puntuales muy fuertes en los estados de Nayarit, Jalisco, Colima y Michoacán acompañadas de vientos máximos que van de los 40 a 50 km, detallaron las autoridades meteorológicas.
#Orlene se mantiene como #TormentaTropical a 390 km al sur-suroeste de Playa Pérula, #Jalisco. Su presencia incrementa la probabilidad de #Lluvias muy fuertes en #Nayarit, Jalisco, #Colima y #Michoacán. Detalles de la información en https://t.co/VVYNAjY7Uo pic.twitter.com/6Qrvnh79Fk
— CONAGUA Clima (@conagua_clima) September 30, 2022
Activan alerta en 7 estados por llegada de Orlene
La Coordinadora Nacional de Protección Civil de México informó que ya activó una alerta en siete estados del país y múltiples municipios debido al avance y próxima llegada de la Tormenta Tropical Orlene para los próximos días, evento que se prevé se desarrolle como Huracán de categoría 1 y 2.
TE PUEDE INTERESAR: Tormenta Tropical Orlene: Qué estados de México ha afectado y hasta cuándo seguirá lloviendo
Los estados en los que fue activada la alerta son: Baja California, Nayarit, Sinaloa, Colima, Chihuahua, Durango, y Jalisco, mientras que en los municipio en los que también fue activada por el impacto de la Tormenta Tropical Orlene son:
- Baja California Sur: La Paz, Los Cabos, Comondú y Loreto.
- Nayarit: Acaponeta, Huajicori, Xalisco, Rosamorada, Ruíz, San Blas, Santa María del Oro, Santiago Ixcuintla, Tecuala, Tepic, Tuxpan, Ahuacatlán, Amatlán de Cañas, Compostela, Ixtlán del Río, Jala, Del Nayar, San Pedro Lagunillas, La Yesca, Bahía de Banderas.
- Sinaloa: Angostura, Badiraguato, Concordia, Cosalá, Culiacán, Elota, Escuinapa, Mazatlán, Mocorito, Rosario, Salvador Alvarado, San Ignacio, Navolato, Ahome, Choix, El Fuerte, Guasave, Sinaloa.
- Colima: Armería, Colima, Comala, Coquimatlán, Cuauhtémoc, Ixtlahuacán, Manzanillo, Minatitlán, Tecomán y Villa de Álvarez.
- Chihuahua: Balleza, Batopilas, Guachochi, Guadalupe y Calvo, Morelos y Nonoava.
- Durango: Canelas, Mezquital, Otáez, Pueblo Nuevo, San Dimas, Santiago Papasquiaro, Súchil, Tamazula, Topia y Vicente Guerrero.
- Jalisco: Atengo, Atenguillo, Autlán de Navarro, Ayutla, Cabo Corrientes, Casimiro Castillo, Cihuatlán, Cuautitlán de García Barragán, Cuautla, El Grullo, Guachinango, La Huerta, El Limón, Mascota, Mixtlán, Puerto Vallarta, Villa Purificación, San Sebastián del Oeste, Talpa de Allende, Tolimán y Tomatlán, Tuxcacuesco.
90 municipios y 7 estados del país en #Alerta por la #TormentaTropical 🌀#Orlene.
— Coordinación Nacional de Protección Civil (@CNPC_MX) September 30, 2022
⚠️En esta liga consulta el boletín del #SIATCT para que conozcas el listado de municipios y su nivel de alerta y atiende las recomendaciones: https://t.co/N1XJSY5QRP pic.twitter.com/NVJHgheos4
Las autoridades de Protección Civl de México informaron que los habitantes de los anteriores estados y municipios deberán seguir las recomendaciones de las autoridades en cada una de sus regiones y seguir los informes meteorológicos sobre el desarrollo e impacto de la Tormenta Tropical Orlene.
¿En qué estados lloverá el viernes 30 de septiembre?
- Lluvias fuertes con puntuales muy fuertes: Sinaloa, Nayarit, Jalisco, Colima, Michoacán, Guerrero, Oaxaca y Chiapas.
- Intervalos de chubascos con lluvias puntuales fuertes: Sonora, Chihuahua y Durango.
- Intervalos de chubascos: Baja California Sur, Estado de México, Veracruz, Tabasco y Campeche.
- Lluvias aisladas: Baja California, Puebla, Ciudad de México, Yucatán y Quintana Roo.
¿Seguirán los fríos en México?
Noticias relacionadas
El Servicio Meteorológico Nacional (SMN) informó que seguirán las bajas temperaturas en México, evento que durará para los próximos meses, toda vez, que actualmente se encuentra el Frente Frío 1 y una masa de aire frío que en interacción con un canal de baja presión en el sureste del país, se registrarán lluvias puntuales a muy fuertes en Oaxaca y Chiapas, además se prevé un ambiente frío a fresco durante la mañana y noche para los próximos días en gran parte del territorio nacional.
TE PUEDE INTERESAR: Huracán Orlene: ¿en qué categoría está y hacia dónde se dirige?

